Las lecciones del tifón Haiyan para la Cumbre sobre Cambio Climático de la ONU | lamarea.com Las lecciones del tifón Haiyan para la Cumbre sobre Cambio Climático de la ONU | lamarea.com
lamarea.com
  • La Marea
  • Kiosco
  • Climática
DONA SUSCRÍBETE
SUSCRÍBETE
Iniciar sesión
  • Internacional
  • Cultura
  • Política
  • Sociedad
  • Opinión
  • Medio ambiente
  • Economía
  • Revista
  • Altacoop
  • Internacional
  • Cultura
  • Política
  • Sociedad
  • Opinión
  • Medio ambiente
  • Economía
  • Revista
  • Altacoop
ANTERIOR

Las lecciones del tifón Haiyan para la Cumbre sobre Cambio Climático de la ONU

SIGUIENTE
Nos demandan por investigar los vientres de alquiler. Si puedes, ayúdanos con la defensa legal. Haz una donación o suscríbete a la revista, a partir de 17 euros.

Internacional | OTRAS NOTICIAS

Las lecciones del tifón Haiyan para la Cumbre sobre Cambio Climático de la ONU

Uno tras otro, los informes confirman lo que establece la ciencia: el catastrófico cambio climático se está acelerando.

Amy Goodman
16 noviembre 2013 Una lectura de 5 minutos
Telegram Linkedin

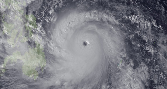
El tifón Haiyan, una tormenta de dimensiones históricas, ha devastado a la población de Filipinas, mayoritariamente empobrecida. Miles de personas han muerto, cientos de miles permanecen aisladas, sin alimentos ni agua. En total, millones de personas han sido afectadas en todo el país. La lucha por la supervivencia compite con la urgencia por enterrar a los muertos, asistir a los heridos y el temor a sufrir los embates de las tormentas tropicales que pueden suceder al tifón. Al mismo tiempo, del otro lado del mundo, miles de negociadores, científicos, políticos y periodistas están reunidos en la Conferencia anual sobre Cambio Climático de las Naciones Unidas, que este año tiene lugar en Varsovia, Polonia. Los fuertes vientos que azotaron Filipinas esta semana exigen vientos de cambio en la respuesta mundial al calentamiento global.

Durante la sesión inaugural de la 19ª Conferencia de las Partes de la Convención Marco de las Naciones Unidas sobre Cambio Climático (COP 19) que está teniendo lugar en Varsovia, un valiente negociador acaparó la atención de todos los presentes al exigir que se tomen medidas para combatir el cambio climático.

“Lo que mi país está atravesando como consecuencia de los eventos climáticos extremos es una locura. La crisis climática es una locura. Sr. Presidente, podemos detener esta locura aquí mismo, en Varsovia”, afirmó Naderev “Yeb” Saño, representante de Filipinas, el país recientemente devastado por el tifón, cuando la cumbre dio inicio. Este no fue su primer llamamiento a un organismo de laONU. El año pasado, en ocasión de la cumbre sobre cambio climático realizada en Doha, Qatar, y poco después de que el tifón Bopha dejara un saldo de 1.100 muertos en Filipinas, Saño imploró a los negociadores reunidos allí, mientras intentaba contener el llanto: “El resultado de nuestro trabajo no debe tratarse de lo que quieren nuestros líderes políticos, sino de lo que exigen los 7.000 millones de habitantes del mundo. Les pido a todos: por favor, no más demoras, no más excusas. Por favor, hagan que Doha sea recordado como el lugar donde hallamos la voluntad política para cambiar las cosas”.

Pero Doha no cambió las cosas. Uno tras otro, los informes confirman lo que establece la ciencia: el catastrófico cambio climático se está acelerando. El Grupo Intergubernamental de Expertos sobre Cambio Climático (IPCC), una asociación integrada por más de 1.800 científicos que lidera la investigación sobre el cambio climático a nivel mundial y que compartió el Premio Nobel de la Paz con el ex Vicepresidente estadounidense Al Gore en 2007, acaba de publicar su quinto informe de evaluación. El IPCC informa, cada vez con mayor certeza, que el clima está cambiando y que este fenómeno es provocado por la actividad humana.

Jeff Masters es meteorólogo y fundador del sitio web Weather Underground. A diferencia de la mayoría de meteorólogos de la televisión estadounidense, que no suelen vincular los eventos climáticos extremos con el cambio climático, Masters realiza esta conexión en forma habitual. Afirmó en el programa de noticias “Democracy Now!”: “La ocurrencia de este tipo de tormentas fuertes de categoría 5 ha aumentado. Y, cuando ocurren, una mayor proporción de ellas ocurre con una intensidad extremadamente alta”. Masters y el IPCC señalan que un evento climático aislado no puede atribuirse directamente al cambio climático, pero la frecuencia y la intensidad de las tormentas aumentarán.

Mientras que la ciencia es fría y debe someterse a revisión, la realidad en los lugares afectados por estos eventos climáticos es cruda y mortal. El tifón Haiyan (que en Filipinas se denomina Yolanda) es tan solo el ejemplo más reciente. El huracán Sandy azotó hace un año los estados de Nueva Jersey y Nueva York, y provocó la paralización de una de las ciudades más grandes del planeta.

Es demasiado prematuro calificar de fracaso a la cumbre sobre cambio climático de la ONU en Varsovia. Hay negociadores honestos reunidos en Polonia, además de activistas, tanto dentro del Estadio Nacional, donde tiene lugar la conferencia, como fuera, en las calles. Los activistas de Greenpeace están llamando la atención acerca de la fuerte dependencia de Polonia de las plantas de energía a carbón. Una de sus acciones consistió en proyectar el siguiente mensaje sobre las grandes chimeneas de humo: “el cambio climático comienza aquí”. Al mismo tiempo, otros 28 activistas de Greenpeace podrían ser condenados a siete años de prisión en Rusia por manifestarse contra la primera plataforma de exploración petrolera en el Ártico. Los dos periodistas que cubrieron la protesta afrontan los mismos cargos.

Muchos consideran que Varsovia es solo un paso previo de cara a la cumbre sobre cambio climático que tendrá lugar en París en 2015 y, por lo tanto, reconocen que no es posible adoptar medidas urgentes. Pero, ¿por qué? En la cumbre sobre clima de 2011 realizada en Durban, Sudáfrica, una representante de la delegación de jóvenes se dirigió al plenario de cierre y expresó su frustración con el lento avance de las negociaciones. Anjali Appadurai sostuvo: “Han estado negociando desde que nací. En todo este tiempo, no cumplieron con ninguno de los compromisos asumidos. La ciencia nos dice que tenemos un plazo máximo de cinco años para evitar el cambio climático irreversible. Ustedes dicen ‘dennos diez’. La mayor traición a la responsabilidad de su generación con respecto a la nuestra es que denominen a esta meta como “ambición”. La «ambición» ha sido descartada por considerarla radical, o políticamente imposible. Pensar a largo plazo no es algo radical. Lo que es radical es cambiar por completo el clima del planeta, comprometer el futuro de mi generación y condenar a millones de personas a morir a causa del cambio climático. Lo radical es descartar el hecho de que un cambio es posible”.

El principal negociador de Filipinas, Yeb Saño, seguirá luchando, tanto por su familia, gran parte de la cual fue afectada directamente por el tifón Haiyan, como por el proceso de negociación. Culminó su intervención en la sesión inaugural de la Cumbre de Varsovia con un anuncio: “Sr. Presidente, digo esto con total sinceridad, en solidaridad con mis compatriotas que están luchando para obtener alimentos en mi país, y con mi hermano que no ha tenido alimentos durante los últimos tres días. Iniciaré una huelga de hambre voluntaria por el clima. Esto significa que dejaré de comer voluntariamente durante esta Cumbre hasta que haya un resultado real en vista. Se le han dado muchos nombres a este proceso, se ha dicho que es una farsa, que es una reunión anual sin sentido que implica una gran huella de carbono para viajeros frecuentes. Muchas veces se la ha calificado de diferentes maneras, y eso duele. Sin embargo, podemos demostrar que se equivocan. Sr. Presidente, mi delegación lo apela en forma respetuosa a que lidere este proceso y permita que Polonia, Varsovia, sea recordada por siempre como el lugar donde realmente tuvimos la voluntad de poner fin a esta locura. Si este es nuestro imperativo aquí en Varsovia, puede confiar en mi delegación. Sr. Presidente. Creo que aún podemos lograrlo”.


Denis Moynihan colaboró en la producción periodística de esta columna.

© 2013 Amy Goodman

Texto en inglés traducido por Mercedes Camps. Edición: María Eva Blotta y Democracy Now! en español, spanish@democracynow.org

Amy Goodman es la conductora de Democracy Now!, un noticiero internacional que se emite diariamente en más de 750 emisoras de radio y televisión en inglés y en más de 400 en español. Es co-autora del libro «Los que luchan contra el sistema: Héroes ordinarios en tiempos extraordinarios en Estados Unidos», editado por Le Monde Diplomatique Cono Sur.

Telegram Linkedin
  • #cambio climático
  • #Filipinas
  • #muertos
  • #ONU
  • #tifon

¿Sabes qué es La Marea?

La Marea es un medio independiente editado por una cooperativa sin ánimo de lucro. Desde 2012, apostamos por el periodismo de investigación, el análisis en profundidad y la cultura, siempre con una mirada crítica y comprometida.

Si crees que es necesario contar con información libre y rigurosa, suscríbete a nuestra revista, en papel o versión digital, desde solo 17 euros. Tu colaboración nos ayuda a seguir informando, cada día y en abierto.

Si crees en el periodismo independiente, colabora.

Suscríbete dona
Comentarios
  1. Pepe dice:
    18/11/2013 a las 19:53

    El ser humano lleva apenas 50000 años en este planeta , hace unos 10000 años acabo la última glaciación ,y el ser humano no la activo ,como tampoco hoy día tenemos capacidad para hacerlo .No nos damos cuenta que el planeta es un ser vivo que se puede acatarrar en cualquier momento por no hablar de que se estrellé contra el planeta un pedazo de asteroide algo más grande que un autobús que tampoco el ser humano habría activado.

    Responder
  2. arena dice:
    17/11/2013 a las 10:36

    estoy absolutamente convencida de que mataremos nuestro planeta como el cancer que somos: lentamente y con metastasis. A nuestros hijos les dejaremos catastrofes mezcladas con dias tranquilos y los metereologos diran, como dicen ahora, frases del tipo: la primera nevada del otoño…o en los 35 grados en invierno entrevistaran gente en la playa diciendo que hace un dia genial…y así…normalizando el lenguaje ….Mientras a unos les llega la destrucción, otros, mientras estan sentados en sus cumbres climaticas, se frotan las manos por los millones que ganaran con la reconstrucción…y asi ….seguirá avanzando y empeorando el Cancer que somos la humanidad para este precioso planeta….sin remedio

    Responder
  3. Jordi dice:
    17/11/2013 a las 08:52

    Y no sólo estamos al borde de un cambio climático de proporcionesdesconocidas, sino también de otros cambios ambientales igualmente graves:
    http://www.vilaweb.cat/noticia/4019059/20120611/jordi-bascompte-ens-hem-ad%20onat-aixo-sostenible.html

    Responder

Deja una respuesta Cancelar la respuesta

Tu dirección de correo electrónico no será publicada. Los campos obligatorios están marcados con *

Este sitio usa Akismet para reducir el spam. Aprende cómo se procesan los datos de tus comentarios.

Lo más leído

  • ¿Está a punto de estallar la burbuja de la IA?
  • 'La Marea' publica su investigación sobre el negocio de la gestación subrogada en un especial interactivo
  • Guerra en el Caribe y el Pacífico: crímenes e impunidad de EEUU
  • El dolor de las víctimas de la dana un año después: siguen pidiendo verdad y responsabilidad a "quien omite su deber"
  • El 'Peugeot' que persigue al presidente: crónica de una comparecencia tensa

Actualidad

  • Internacional
  • Cultura
  • Política
  • Clima
  • Sociedad

Conócenos

  • La Marea
  • Cooperativistas
  • Transparencia
  • Política de cookies
  • Política de privacidad

Kiosco

  • Suscripciones
  • Revistas
  • Libros
  • Cursos
  • Descuentos
  • Contacto

Síguenos

Apúntate a nuestra newsletter

Apúntate
La Marea Ayúdanos a hacer La Marea posible. Haz una donación o suscríbete desde 30€ al año

MásPúblico sociedad cooperativa. Licencia CC BY-SA 3.0.

Compartir a través de

Este portal web únicamente utiliza cookies propias con finalidad técnica y necesarias para el funcionamiento de la web, no recaba ni cede datos de carácter personal de los usuarios sin su conocimiento. Sin embargo, contiene enlaces a sitios web de terceros con políticas de privacidad ajenas a la de LaMarea que usted podrá decidir si acepta o no cuando acceda a ellos. Leer más

AceptarResumen de privacidad
Política de Cookies

Resumen de privacidad

Este portal web únicamente utiliza cookies propias con finalidad técnica y necesarias para el funcionamiento de la web, no recaba ni cede datos de carácter personal de los usuarios sin su conocimiento. Sin embargo, contiene enlaces a sitios web de terceros con políticas de privacidad ajenas a la de LaMarea que usted podrá decidir si acepta o no cuando acceda a ellos.
Funcionales
Siempre habilitado

Las cookies funcionales son esenciales para garantizar el correcto funcionamiento de nuestro sitio web, ya que proporcionan funcionalidades necesarias. Desactivarlas podría afectar negativamente a la experiencia de navegación y a la operatividad del sitio.

Guardar y aceptar